Retour aux biens

Entrepôt à vendre 35.000 EUR
7060 Soignies

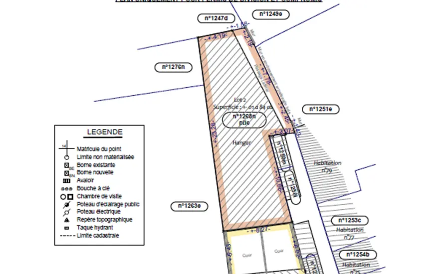
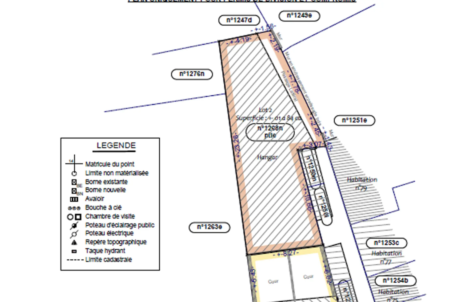
Atelier de 01a 84ca à vendre dans le centre de Soignies !

icone surface160m² habitable
icone garage1 garage
icone arbre457m² de terrain

Atelier/Entrepôt à vendre à proximité de la gare de Soignies. Bien rare sur Soignies !

C'est un ancien atelier d'imprimerie, avec une superficie intérieure d'environ 160 m².

La parcelle de passage (2a 73ca) est inclue dans la vente.

L'accès se fait via une ruelle qui est à droite du numéro 105 de la rue Grégoire Wincqz.

Une information, ou une demande de visite ? info@leemans-immobilier.be 

Libre immédiatement - Descriptif non contractuel.

Général

  • Référence : 6624744
  • Catégorie : Entrepôt
  • Meublé : Non
  • Jardin :Non
  • Garage :Oui
  • Terrasse :Non
  • Parking :Non
  • Surface habitable : 160m²
  • Surface du terrain : 457m²
  • Disponibilité :à l'acte

Extérieur

  • Année de construction : 1960
  • Parking intérieur : Oui
  • Parking extérieur : Non
  • Nombre de sdd : 0

Localisation

Adresse : Rue G. Wincqz , 7060 Soignies

Prix de vente
35.000 EUR

Antoine Leemans

067 77 31 27 Demande d'infos

Message envoyé avec succès.

Retour

Demande d'infos pour ce bien

Informations personnelles

Renseignements souhaités

Ce site utilise des cookies

Nous utilisons des cookies pour assurer le bon fonctionnement du site. Vous pouvez consulter nos mentions légales et notre politique de confidentialité pour plus d'informations.

Accepter les cookies Paramétrer les cookies